REQUEST A TOUR If you would like to see this home without being there in person, select the "Virtual Tour" option and your agent will contact you to discuss available opportunities.
In-PersonVirtual Tour

Listed by Debbi Crossland • Century 21 Masters
$ 137,000
Est. payment | /mo
0.29 Acres Lot
$ 137,000
Est. payment | /mo
0.29 Acres Lot
Key Details
Property Type Vacant Land
Sub Type Other Residential Land
Listing Status Active
Purchase Type For Sale
MLS Listing ID CRSC25088934
Lot Size 0.287 Acres
Property Sub-Type Other Residential Land
Source California Regional MLS
Property Description
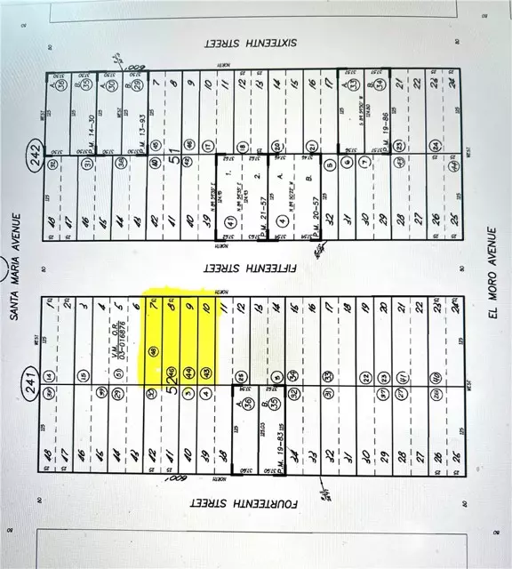
This is an opportunity to purchase a 12,500 sq. ft. unimproved parcel in the bayside community of Los Osos. This is a bulk sale consisting of four adjoining 25' X 125' lots to be sold together, equaling 100' of street frontage. With distant views of the bay, sand dunes, and surrounding hills from street level, it is sure to be a terrific homesite when building is permitted. You'll be a part of a wonderful community offering a coastal lifestyle along with all the amenities this area has to offer. One of the lots is #211 on the Los Osos Waitlist for Building Permits and lot size says 12,500 sq ft. Check with SLO County Dept of Planning & Building to investigate the potential of building on vacant lots in Los Osos. You'll find some great information at https://www.slocounty.ca.gov/departments/planning-building/grid-items/communities-villages/los-osos
Location
State CA
County San Luis Obispo
Area Osos - Los Osos
Zoning LX
Exterior
Fence None
View Bay, Hills, 30
Others
Tax ID 038241043
Special Listing Condition Not Applicable

© 2025 MLSListings Inc. All rights reserved.
GET MORE INFORMATION

Sam Spinella
Your Trusted Real Estate Guy | License ID: 01377658
+1(408) 393-9294 | sam@spinellagroup.com






